•   
    • > Á¶È², Á¶Çà±â > Á¶È²Á¤º¸

    Á¶È²Á¤º¸

    Á¶È²Á¤º¸ º¸±â
    Ãß¼® ¿¬ÈÞ ¹æ°¥·Î ¿¹¾à ¹Þ½À´Ï´Ù.
    Á¶È²Á¤º¸ º¸±â
    ÀÛ¼ºÀÚ : ¸¶Àü³¬½Ã°ø¿ø µî·ÏÀÏ : 2023.09.25

     

     

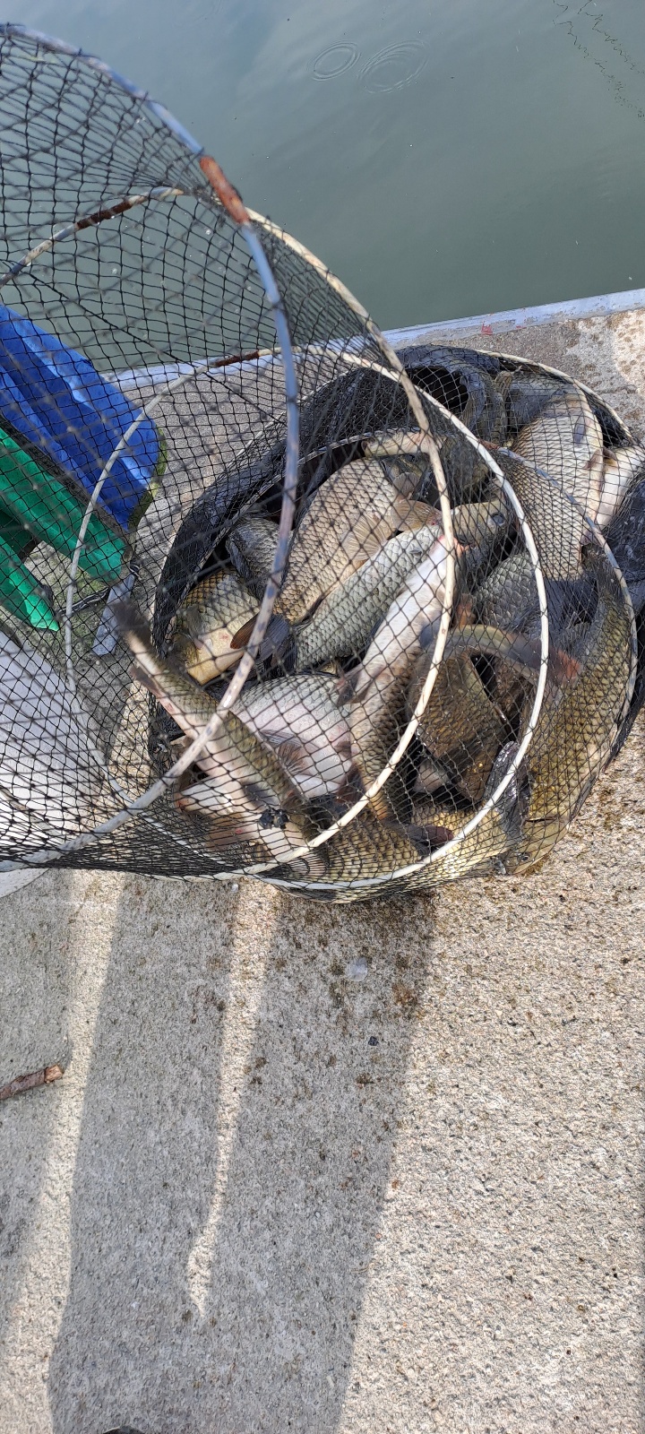
     ¾È³çÇϼ¼¿ä. ¸¶ÀüÁö±âÀÔ´Ï´Ù.

    ¹ú½á ÇÑ ÇØÀÇ ¸¶Áö¸· ¸íÀýÀÎ Ãß¼®ÀÌ ´Ù°¡¿É´Ï´Ù.

    Ãß¼® ¿¬ÈÞ Àü, Àá½Ã ºñ°¡ ¿ÀÁö¸¸ 

    ¿¬ÈÞ ±â°£µ¿¾È ³¯¾¾°¡ ÁÁ´Ù°í ÇÕ´Ï´Ù.

    °¡À» ³¯¾¾¸¦ Á¶±ÝÀ̳ª¸¶ ´Ù°¡°¡´Â ¿äÁò¿¡µµ

    Á¶È²Àº ¿©ÀüÈ÷ È£Á¶È²À» º¸À̰í ÀÖ½À´Ï´Ù.

    À̹ø ÁÖ Á¶±Ý¸¸ ´õ Èû³»½Ã°í ÇູÇÑ ÇѰ¡À§ º¸³»½Ã±æ ¹Ù¶ø´Ï´Ù.

     

     

     

     

     

    Ãß¼®À» ¸Â¾Æ ±âÁ¸ ºØ¾î ¹æ·ù·®À» ´Ã·Á ´õ! ´ë·® ¹æ·ùÇÕ´Ï´Ù. 

    Ãß¼® ¿¹¾àÀ» ÇϽøé Á¶±Ý ´õ ÆíÇÑ ³¬½Ã Áñ±â½Ç ¼ö ÀÖ½À´Ï´Ù.

     

     

     

     

     

    ¡Ú9¿ù 30ÀÏ(Åä), ¡Ú10¿ù 01(ÀÏ) µ¿¾È

    1ÀÎ ¹æ°¥·Î¿¹¾à ¹Þ½À´Ï´Ù.

     

     

     

     

     

    ¹°ÀÌ ¸¸¼öÀÔ´Ï´Ù!!

     

     

     


    ÁÖ4ȸ È­,¸ñ,±Ý,Åä¿äÀÏ ºØ¾î ´ë·® ¹æ·ùÇÕ´Ï´Ù.!!

     

     

     

     

     È­Àå½Ç ½ÅÃà!!

    ºñµ¥, ¿¡¾îÄÁ ¼³Ä¡ ¿Ï·á!!

     

     

     

    ÁÖÂ÷Àå È®Àå!! Çß½À´Ï´Ù.  

     

     

     

     

    KakaoTalk_20230925_084744442.jpg

     

     

    KakaoTalk_20230925_084744442_01.jpg

     

     

    KakaoTalk_20230925_084744442_02.jpg

     

     

    KakaoTalk_20230925_084744442_03.jpg

     

     

    KakaoTalk_20230925_084744442_04.jpg

     

     

    KakaoTalk_20230925_084744442_05.jpg

     

     

    KakaoTalk_20230925_084744442_06.jpg

     

     

    KakaoTalk_20230925_084744442_07.jpg

     

     

    KakaoTalk_20230925_084744442_08.jpg

     

     

    KakaoTalk_20230925_084744442_09.jpg

     

     

    KakaoTalk_20230925_084744442_10.jpg

     

     

    KakaoTalk_20230925_084744442_11.jpg

     

     

    KakaoTalk_20230925_084744442_12.jpg

     

     

    KakaoTalk_20230925_084744442_13.jpg

     

     

    KakaoTalk_20230925_084744442_14.jpg

     

     

    KakaoTalk_20230925_084744442_15.jpg

     

     

    KakaoTalk_20230925_084744442_16.jpg

     

     

    KakaoTalk_20230925_084744442_17.jpg

     

     

    KakaoTalk_20230925_084744442_18.jpg

     

     

    KakaoTalk_20230925_084744442_19.jpg

     

     

    KakaoTalk_20230925_084744442_20.jpg

     

     

    KakaoTalk_20230925_084828221.jpg

     

     

    KakaoTalk_20230925_084828221_01.jpg

     

     

    KakaoTalk_20230925_084828221_02.jpg

     

     

    KakaoTalk_20230925_084828221_03.jpg

     

     

    KakaoTalk_20230925_084828221_04.jpg

     

     

    KakaoTalk_20230925_084828221_05.jpg

     

     

    KakaoTalk_20230925_084828221_06.jpg

     

     

    KakaoTalk_20230925_084828221_07.jpg

     

     

    KakaoTalk_20230925_084828221_08.jpg

     

    KakaoTalk_20230925_084828221_09.jpg

     

     

    KakaoTalk_20230925_084828221_10.jpg

     

     

    KakaoTalk_20230925_084828221_11.jpg

     

     

    KakaoTalk_20230925_084828221_12.jpg

     

     

    KakaoTalk_20230925_084828221_13.jpg

     

     

    KakaoTalk_20230925_084828221_14.jpg

     

     

    KakaoTalk_20230925_084828221_15.jpg

     

     

    KakaoTalk_20230925_084828221_16.jpg

     

     

    KakaoTalk_20230925_084828221_17.jpg

     

     

    KakaoTalk_20230925_084828221_18.jpg

     

     

    KakaoTalk_20230925_084828221_19.jpg

     

     

    KakaoTalk_20230925_084828221_20.jpg

     

     

    KakaoTalk_20230925_084905076.jpg

     

     

    KakaoTalk_20230925_084905076_01.jpg

     

     

    KakaoTalk_20230925_084905076_02.jpg

     

     

    KakaoTalk_20230925_084905076_03.jpg

     

     

    KakaoTalk_20230925_084905076_04.jpg

     

     

    KakaoTalk_20230925_084905076_05.jpg

     

     

    KakaoTalk_20230925_084905076_06.jpg

     

     

    KakaoTalk_20230925_084905076_07.jpg

     

     

    KakaoTalk_20230925_084905076_08.jpg

     

     

    KakaoTalk_20230925_084905076_09.jpg

     

     

    KakaoTalk_20230925_084905076_10.jpg

     

     

    KakaoTalk_20230925_084905076_11.jpg

     

     

    KakaoTalk_20230925_084905076_12.jpg

     

     

    KakaoTalk_20230925_084905076_13.jpg

     

     

    KakaoTalk_20230925_084905076_14.jpg

     

     

    KakaoTalk_20230925_084905076_15.jpg

     

     

    KakaoTalk_20230925_084905076_16.jpg

     

     

    KakaoTalk_20230925_084905076_17.jpg

     

     

    KakaoTalk_20230925_084905076_18.jpg

     

     

    KakaoTalk_20230925_084905076_19.jpg

     

    KakaoTalk_20230925_084905076_20.jpg

     

     

    KakaoTalk_20230925_084941793.jpg

     

     

    KakaoTalk_20230925_084941793_01.jpg

     

     

    KakaoTalk_20230925_084941793_02.jpg

     

     

    KakaoTalk_20230925_084941793_03.jpg

     

     

    KakaoTalk_20230925_084941793_04.jpg

     

     

    KakaoTalk_20230925_084941793_05.jpg

     

     

    KakaoTalk_20230925_084941793_06.jpg

     

    Åä¿äÀÏ ¹æ·ù »çÁøÀÔ´Ï´Ù. 

     

     

    KakaoTalk_20230925_084941793_07.jpg

     

     

    KakaoTalk_20230925_084941793_08.jpg

     

     

    KakaoTalk_20230925_084941793_09.jpg

     

     

    KakaoTalk_20230925_084941793_10.jpg

     

     

    KakaoTalk_20230925_084941793_11.jpg

     

     

    KakaoTalk_20230925_084941793_12.jpg

     

     

    KakaoTalk_20230925_084941793_13.jpg

     

     

    KakaoTalk_20230925_084941793_14.jpg

     

     

    KakaoTalk_20230925_084941793_15.jpg

     

     

    KakaoTalk_20230925_084941793_16.jpg

     

     

    KakaoTalk_20230925_084941793_17.jpg

     

     

    KakaoTalk_20230925_084941793_18.jpg

     

     

    KakaoTalk_20230925_084941793_19.jpg

     

     

    KakaoTalk_20230925_084941793_20.jpg

     

     

    KakaoTalk_20230925_085014405.jpg

     

     

    KakaoTalk_20230925_085014405_01.jpg

     

     

    KakaoTalk_20230925_085014405_02.jpg

     

     

    KakaoTalk_20230925_085014405_03.jpg

     

     

    KakaoTalk_20230925_085014405_04.jpg

     

     

    KakaoTalk_20230925_085014405_05.jpg

     

     

    KakaoTalk_20230925_085014405_06.jpg

     

     

    KakaoTalk_20230925_085014405_07.jpg

     

     

    KakaoTalk_20230925_085014405_08.jpg

     

     

    KakaoTalk_20230925_085014405_09.jpg

     

    KakaoTalk_20230925_085014405_10.jpg

     

     

    KakaoTalk_20230925_085014405_11.jpg

     

     

    KakaoTalk_20230925_085014405_12.jpg

     

     

    KakaoTalk_20230925_085014405_13.jpg

     

     

    KakaoTalk_20230925_085014405_14.jpg

     

     

    KakaoTalk_20230925_085014405_15.jpg

     

     

    KakaoTalk_20230925_085014405_16.jpg

     

     

    KakaoTalk_20230925_085014405_17.jpg

     

     

    KakaoTalk_20230925_085014405_18.jpg

     

     

    KakaoTalk_20230925_085014405_19.jpg

     

     

    KakaoTalk_20230925_085014405_20.jpg

     

     

    KakaoTalk_20230925_085032866.jpg

     

     

    KakaoTalk_20230925_085048936.jpg

     

     

    KakaoTalk_20230925_085103366.jpg

     

     

    KakaoTalk_20230925_085117010.jpg

     

     

    KakaoTalk_20230925_085148684.jpg

     

     

    KakaoTalk_20230925_085202431.jpg

     

     

    KakaoTalk_20230925_085248842.jpg

     

     

    KakaoTalk_20230925_085248842_01.jpg

     

     

    KakaoTalk_20230925_085248842_02.jpg

     

     

    KakaoTalk_20230925_085248842_03.jpg

     

     

    KakaoTalk_20230925_085248842_04.jpg

     

     

    KakaoTalk_20230925_085248842_05.jpg

     

     

    KakaoTalk_20230925_085248842_06.jpg

     

     

    KakaoTalk_20230925_085248842_07.jpg

     

     

    KakaoTalk_20230925_085248842_08.jpg

     

     

    KakaoTalk_20230925_085248842_09.jpg

     

     

    KakaoTalk_20230925_085248842_10.jpg

     

     

    KakaoTalk_20230925_085248842_11.jpg

     

     

    KakaoTalk_20230925_085248842_12.jpg

     

     

    KakaoTalk_20230925_085248842_13.jpg

     

     

    KakaoTalk_20230925_085248842_14.jpg

     

    KakaoTalk_20230925_085311620.jpg

     

     

    KakaoTalk_20230925_085311620_01.jpg

     

     

    KakaoTalk_20230925_085311620_02.jpg

     

     

    KakaoTalk_20230925_085311620_03.jpg

     

     

    KakaoTalk_20230925_085311620_04.jpg

     

     

    KakaoTalk_20230925_085311620_05.jpg

     

     

    KakaoTalk_20230925_085311620_06.jpg

     

     

    KakaoTalk_20230925_085311620_07.jpg

     

     

    KakaoTalk_20230925_085311620_08.jpg

     

     

    KakaoTalk_20230925_085311620_09.jpg

     

     

    KakaoTalk_20230925_085311620_10.jpg

     

     

    KakaoTalk_20230925_085311620_11.jpg

     

     

    KakaoTalk_20230925_085311620_12.jpg

     

     

    KakaoTalk_20230925_085311620_13.jpg

     

     

    KakaoTalk_20230925_085311620_14.jpg

     

     

    KakaoTalk_20230925_085334282.jpg

     

     

    KakaoTalk_20230925_085334282_01.jpg

     

     

    KakaoTalk_20230925_085357412.jpg

     

     

     

    ĸó.JPG

     

    01.JPG

     

     

    02.JPG

     

     

    03.JPG

     

     2ÀÎ ¹æ°¥·Î¿¡µµ Ƽºñ ¼³Ä¡ µÇ¾îÀÖ½À´Ï´Ù.

    °ð »çÁø ¾÷µ¥ÀÌÆ® Çϵµ·Ï ÇϰڽÀ´Ï´Ù.

     

     

    04.JPG

     

     

    05.JPG

     

     

     

    ĸó.PNG

       

     


     

    ¸ñ·Ï



      [¸¶Àü³¬½Ã°ø¿ø´ÔÀÇ ´Ù¸¥±Û]   + Àüü : 661    ÆäÀÌÁö : /27
    Á¶È²Á¤º¸
    ¹øÈ£ Á¦¸ñ ÀÛ¼ºÀÚ ³¯Â¥ Á¶È¸
    436 ±ÄÀº ³¯¾¾¿¡µµ ºûÀ» ¹ßÇÑ Á¶È² ¸¶Àü³¬½Ã°ø¿ø 2024-02-23 88
    435 ÃÊ´ë¹Ú Á¶È² ¸¶Àü³¬½Ã°ø¿ø 2024-02-21 165
    434 ÁÖÃãÇß´ø Á¶È²ÀÌ ´Ù½Ã »ì¾Æ³ª¼­ ¸¶Àü³¬½Ã°ø¿ø 2024-02-19 86
    433 ÁÁÀº Á¶°ú¿¡ ¿À´Ãµµ!! ¸¶Àü³¬½Ã°ø¿ø 2024-02-16 142
    432 ±â´Ù·È´ø ¹° ³¬½Ã ¿ÀÇÂ, 2¿ù Ư°¡ ¸¶Àü³¬½Ã°ø¿ø 2024-02-15 139
    431 »õÇØ º¹ ¸¹ÀÌ ¹ÞÀ¸¼¼¿ä. ¸¶Àü³¬½Ã°ø¿ø 2024-01-01 86
    430 [¸¶Àü³¬½ÃÅÍ] ã¾ÆÁֽЏ¹Àº Á¶»ç´Ôµé²² °¨»çÀλçµå¸³´Ï´Ù. ¸¶Àü³¬½Ã°ø¿ø 2023-12-05 94
    429 11¿ù ¸¶Áö¸·ÁÖ ¸¶Àü³¬½Ã°ø¿ø 2023-11-27 58
    428 Ãß¿î ³¯¾¾¿¡ È£Á¶È² ¸¶Àü³¬½Ã°ø¿ø 2023-11-24 60
    427 ¿©¸§ Á¶È² ºÎ·´Áö ¾ÊÀº °¡À» Á¶È² ¸¶Àü³¬½Ã°ø¿ø 2023-11-22 57
    426 °Ü¿ï °°Àº °¡À» ³¯¾¾ ¸¶Àü³¬½Ã°ø¿ø 2023-11-20 68
    425 ¸Å¼­¿î ³¯¾¾ÀÇ È£Á¶È² ¸¶Àü³¬½Ã°ø¿ø 2023-11-17 65
    424 ½Ò½ÒÇÑ °¡À» ³¯¾¾ ¸¶Àü³¬½Ã°ø¿ø 2023-11-15 53
    423 ÀԱ質¿À´Â ³¯¾¾ ¸¶Àü³¬½Ã°ø¿ø 2023-11-13 63
    422 ¿µÇÏÀÇ ³¯¾¾ ¸¶Àü³¬½Ã°ø¿ø 2023-11-10 61
    421 ºñ¿Í ÇÔ²²ÇÑ °¡À» ÁÖ¸» ³¬½Ã ¸¶Àü³¬½Ã°ø¿ø 2023-11-06 54
    420 µû¶æÇÑ °¡À» ³¯¾¾ÀÇ Á¶È² ¸¶Àü³¬½Ã°ø¿ø 2023-11-03 50
    419 11¿ùÀÇ ½ÃÀÛ ¸¶Àü³¬½Ã°ø¿ø 2023-11-01 56
    418 °¡À»ÀÇ ³¬½Ã ¸¶Àü³¬½Ã°ø¿ø 2023-10-30 51
    417 ²ÙÁØÇÑ ¹æ·ù·® ¸¶Àü³¬½Ã°ø¿ø 2023-10-27 60
    416 µ¶µµÀÇ ³¯ Á¶È²¼Ò½Ä ¸¶Àü³¬½Ã°ø¿ø 2023-10-25 60
    415 ²ÙÁØÇÑ ¹æ·ùÀÇ ²ÙÁØÇÑ Á¶È² ¸¶Àü³¬½Ã°ø¿ø 2023-10-23 67
    414 ¾Ë·Ï´Þ·Ï °¡À»ÀÇ ³¬½Ã ¸¶Àü³¬½Ã°ø¿ø 2023-10-20 42
    413 10¿ù Áß¼ø Á¶È²¼Ò½Ä ¸¶Àü³¬½Ã°ø¿ø 2023-10-18 49
    412 ²ÙÁØÇÑ ¹æ·ù!! ¸¶Àü³¬½Ã°ø¿ø 2023-10-16 68

    01 ¡¤ 02 ¡¤ 03 ¡¤ 04 ¡¤ 05 ¡¤ 06 ¡¤ 07 ¡¤ 08 ¡¤ 09 ¡¤ 10


  • ·Î±×ÀλóÅÂÀ¯Áö

    ȸ¿ø°¡ÀÔ   ID/PWã±â
    • ·Î±×Àξȳ»
    • ºñ¹Ð¹øÈ£ ºÐ½Ç ȸ¿øÀº ºñ¹Ð¹øÈ£ ã±â¸¦ Çϰųª °í°´¼¾ÅÍ·Î
      ÀüÈ­ ÁÖ¼¼¿ä

    ÃÖ½ÅÀÔ°í»óǰ

     
     
    •  

°í°´¼¾ÅÍ

02-2203-1733

¿¹±ÝÁÖ : (ÁÖ)ÀÏÇÐ
±¹¹ÎÀºÇà
475801-01-252391
³óÇù
351-1092-8277-73