•   
    • > Á¶È², Á¶Çà±â > Á¶È²Á¤º¸

    Á¶È²Á¤º¸

    Á¶È²Á¤º¸ º¸±â
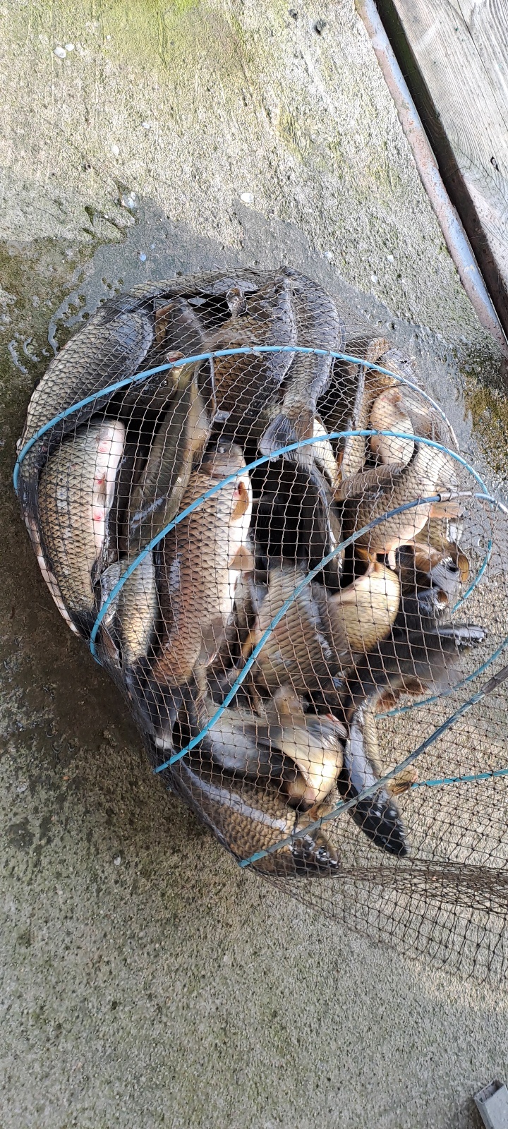
    8¿ù ¸¶Áö¸· ÁÖ¸»µµ ¿ª½Ã³ª!!
    Á¶È²Á¤º¸ º¸±â
    ÀÛ¼ºÀÚ : ¸¶Àü³¬½Ã°ø¿ø µî·ÏÀÏ : 2023.08.28

     

     

    ¾È³çÇϼ¼¿ä. ¸¶ÀüÁö±âÀÔ´Ï´Ù.

    ¿À´ÃºÎÅÍ ½ÃÀÛµÈ ºñ·Î ÀÎÇØ ´õ¿ü´ø ÁÖ¸»°ú ´Þ¸® È® ±â¿ÂÀÌ ³·¾ÆÁ³½À´Ï´Ù.

    °©Àڱ⠴޶óÁø ³¯¾¾¿¡ °¨±â Á¶½ÉÇÏ½Ã±æ ¹Ù¶ø´Ï´Ù.

    8¿ù ¸¶Áö¸· ÁÖ¸» Á¶È²¼Ò½Äµµ ±ò²ûÇÏ°Ô È£Á¶È²À» À̾´Ï´Ù.

    ¹ã³· ÀÚ¸®ÆíÂ÷ ¾Æ¹« ¿µÇâ¾øÀÌ ÁÁÀº Á¶°ú¿´½À´Ï´Ù.

    Áö±Ýµµ ±× ±â¼¼ À̾°í ÀÖ½À´Ï´Ù.

    À̹ø ÁÖ ¹ú½á 9¿ùÀÌ µË´Ï´Ù.

    ´õ¿öÁø ³¯¾¾¿¡ ¾ó¸¥ °¡À»ÀÌ µÇ±æ ¹Ù·¨°Ç¸¸

    ºü¸£°Ô Áö³ª°¡´Â ½Ã°£ÀÌ ¾Æ½±°Ô ´À²¸Áý´Ï´Ù.

    Áö³ª°¡´Â ¼¼¿ùÀº ÀâÀ» ¼ø ¾ø±â¿¡ ´õ¿í ´õ ³²Àº 8¿ù ¸¶¹«¸® Àß ÇÏ½Ã±æ ¹Ù¶ø´Ï´Ù.

     

     

     

    ¹°ÀÌ ¸¸¼öÀÔ´Ï´Ù!!

     

     

     

    ÁÖ4ȸ È­,¸ñ,±Ý,Åä¿äÀÏ ºØ¾î ´ë·® ¹æ·ùÇÕ´Ï´Ù.!!

     

     


     

    È­Àå½Ç ½ÅÃà!!(ºñµ¥ ¼³Ä¡ ¿Ï·á!!)

    (¿¡¾îÄÁ ¼³Ä¡ ¿Ï·á!!)

     

     

     

    ÁÖÂ÷Àå È®Àå!! Çß½À´Ï´Ù.  

     

     

     

    KakaoTalk_20230828_094750576.jpg

     

     

    KakaoTalk_20230828_094750576_01.jpg

     

     

    KakaoTalk_20230828_094750576_02.jpg

     

     

    KakaoTalk_20230828_094750576_03.jpg

     

     

    KakaoTalk_20230828_094750576_04.jpg

     

     

    KakaoTalk_20230828_094750576_05.jpg

     

     

    KakaoTalk_20230828_094750576_06.jpg

     

     

    KakaoTalk_20230828_094750576_07.jpg

     

     

    KakaoTalk_20230828_094750576_08.jpg

     

     

    KakaoTalk_20230828_094750576_09.jpg

     

     

    KakaoTalk_20230828_094750576_10.jpg

     

     

    KakaoTalk_20230828_094750576_11.jpg

     

     

    KakaoTalk_20230828_094750576_12.jpg

     

     

    KakaoTalk_20230828_094750576_13.jpg

     

     

    KakaoTalk_20230828_094750576_14.jpg

     

     

    KakaoTalk_20230828_094750576_15.jpg

     

     

    KakaoTalk_20230828_094750576_16.jpg

     

     

    KakaoTalk_20230828_094750576_17.jpg

     

     

    KakaoTalk_20230828_094750576_18.jpg

     

     

    KakaoTalk_20230828_094750576_19.jpg

     

     

    KakaoTalk_20230828_094750576_20.jpg

     

     

    KakaoTalk_20230828_094830048.jpg

     

     

    KakaoTalk_20230828_094830048_01.jpg

     

     

    KakaoTalk_20230828_094830048_02.jpg

     

     

    KakaoTalk_20230828_094830048_03.jpg

     

     

    KakaoTalk_20230828_094830048_04.jpg

     

     

    KakaoTalk_20230828_094830048_05.jpg

     

     

    KakaoTalk_20230828_094830048_06.jpg

     

     

    KakaoTalk_20230828_094830048_07.jpg

     

     

    KakaoTalk_20230828_094830048_08.jpg

     

    KakaoTalk_20230828_094830048_09.jpg

     

     

    KakaoTalk_20230828_094830048_10.jpg

     

     

    KakaoTalk_20230828_094830048_11.jpg

     

     

    KakaoTalk_20230828_094830048_12.jpg

     

     

    KakaoTalk_20230828_094830048_13.jpg

     

     

    KakaoTalk_20230828_094830048_14.jpg

     

     

    KakaoTalk_20230828_094830048_15.jpg

     

     

    KakaoTalk_20230828_094830048_16.jpg

     

     

    KakaoTalk_20230828_094830048_17.jpg

     

     

    KakaoTalk_20230828_094830048_18.jpg

     

     

    KakaoTalk_20230828_094830048_19.jpg

     

     

    KakaoTalk_20230828_094830048_20.jpg

     

     

    KakaoTalk_20230828_094911740.jpg

     

     

    KakaoTalk_20230828_094911740_01.jpg

     

     

    KakaoTalk_20230828_094911740_02.jpg

     

     

    KakaoTalk_20230828_094911740_03.jpg

     

     

    KakaoTalk_20230828_094911740_04.jpg

     

     

    KakaoTalk_20230828_094911740_05.jpg

     

     

    KakaoTalk_20230828_094911740_06.jpg

     

     

    KakaoTalk_20230828_094911740_07.jpg

     

     

    KakaoTalk_20230828_094911740_08.jpg

     

     

    KakaoTalk_20230828_094911740_09.jpg

     

     

    KakaoTalk_20230828_094911740_10.jpg

     

     

    KakaoTalk_20230828_094911740_11.jpg

     

     

    KakaoTalk_20230828_094911740_12.jpg

     

     

    KakaoTalk_20230828_094911740_13.jpg

     

     

    KakaoTalk_20230828_094911740_14.jpg

     

     

    KakaoTalk_20230828_094911740_15.jpg

     

     

    KakaoTalk_20230828_094911740_16.jpg

     

     

    KakaoTalk_20230828_094911740_17.jpg

     

     

    KakaoTalk_20230828_094911740_18.jpg

     

     

    KakaoTalk_20230828_094911740_19.jpg

     

    KakaoTalk_20230828_094911740_20.jpg

     

     

    KakaoTalk_20230828_094952161.jpg

     

     

    KakaoTalk_20230828_094952161_01.jpg

     

     

    KakaoTalk_20230828_094952161_02.jpg

     

     

    KakaoTalk_20230828_094952161_03.jpg

     

     

    KakaoTalk_20230828_094952161_04.jpg

     

    Åä¿äÀÏ ¹æ·ù »çÁøÀÔ´Ï´Ù.

     

    KakaoTalk_20230828_094952161_05.jpg

     

     

    KakaoTalk_20230828_094952161_06.jpg

     

     

    KakaoTalk_20230828_094952161_07.jpg

     

     

    KakaoTalk_20230828_094952161_08.jpg

     

     

    KakaoTalk_20230828_094952161_09.jpg

     

     

    KakaoTalk_20230828_094952161_10.jpg

     

     

    KakaoTalk_20230828_094952161_11.jpg

     

     

    KakaoTalk_20230828_094952161_12.jpg

     

     

    KakaoTalk_20230828_094952161_13.jpg

     

     

    KakaoTalk_20230828_094952161_14.jpg

     

     

    KakaoTalk_20230828_094952161_15.jpg

     

     

    KakaoTalk_20230828_094952161_16.jpg

     

     

    KakaoTalk_20230828_094952161_17.jpg

     

     

    KakaoTalk_20230828_094952161_18.jpg

     

     

    KakaoTalk_20230828_094952161_19.jpg

     

     

    KakaoTalk_20230828_094952161_20.jpg

     

     

    KakaoTalk_20230828_095042722.jpg

     

     

    KakaoTalk_20230828_095042722_01.jpg

     

     

    KakaoTalk_20230828_095042722_02.jpg

     

     

    KakaoTalk_20230828_095042722_03.jpg

     

     

    KakaoTalk_20230828_095042722_04.jpg

     

     

    KakaoTalk_20230828_095042722_05.jpg

     

     

    KakaoTalk_20230828_095042722_06.jpg

     

     

    KakaoTalk_20230828_095042722_07.jpg

     

     

    KakaoTalk_20230828_095042722_08.jpg

     

     

    KakaoTalk_20230828_095042722_09.jpg

     

    KakaoTalk_20230828_095042722_10.jpg

     

     

    KakaoTalk_20230828_095042722_11.jpg

     

     

    KakaoTalk_20230828_095042722_12.jpg

     

     

    KakaoTalk_20230828_095042722_13.jpg

     

     

    KakaoTalk_20230828_095042722_14.jpg

     

     

    KakaoTalk_20230828_095042722_15.jpg

     

     

    KakaoTalk_20230828_095042722_16.jpg

     

     

    KakaoTalk_20230828_095042722_17.jpg

     

     

    KakaoTalk_20230828_095042722_18.jpg

     

     

    KakaoTalk_20230828_095042722_19.jpg

     

     

    KakaoTalk_20230828_095042722_20.jpg

     


     

     

    KakaoTalk_20230828_095042722_22.jpg

     

     

    KakaoTalk_20230828_095042722_23.jpg

     

     

    KakaoTalk_20230828_095042722_24.jpg

     

     

    KakaoTalk_20230828_095121655.jpg

     

     

    KakaoTalk_20230828_095138270.jpg

     

     

    KakaoTalk_20230828_095209972.jpg

     

     

    KakaoTalk_20230828_095222973.jpg

     

     

    KakaoTalk_20230828_095235631.jpg

     

     

    KakaoTalk_20230828_095343714.jpg

     

     

    KakaoTalk_20230828_095356035.jpg

     

     

    KakaoTalk_20230828_095410780.jpg

     

     

    ĸó.JPG

     

    01.JPG

     

     

    02.JPG

     

     

    03.JPG

     

     2ÀÎ ¹æ°¥·Î¿¡µµ Ƽºñ ¼³Ä¡ µÇ¾îÀÖ½À´Ï´Ù.

    °ð »çÁø ¾÷µ¥ÀÌÆ® Çϵµ·Ï ÇϰڽÀ´Ï´Ù.

     

     

    04.JPG

     

     

    05.JPG

     

     

     

    ĸó.PNG

      

     

    ¸ñ·Ï



      [¸¶Àü³¬½Ã°ø¿ø´ÔÀÇ ´Ù¸¥±Û]   + Àüü : 666    ÆäÀÌÁö : /27
    Á¶È²Á¤º¸
    ¹øÈ£ Á¦¸ñ ÀÛ¼ºÀÚ ³¯Â¥ Á¶È¸
    416 µ¶µµÀÇ ³¯ Á¶È²¼Ò½Ä ¸¶Àü³¬½Ã°ø¿ø 2023-10-25 61
    415 ²ÙÁØÇÑ ¹æ·ùÀÇ ²ÙÁØÇÑ Á¶È² ¸¶Àü³¬½Ã°ø¿ø 2023-10-23 68
    414 ¾Ë·Ï´Þ·Ï °¡À»ÀÇ ³¬½Ã ¸¶Àü³¬½Ã°ø¿ø 2023-10-20 44
    413 10¿ù Áß¼ø Á¶È²¼Ò½Ä ¸¶Àü³¬½Ã°ø¿ø 2023-10-18 54
    412 ²ÙÁØÇÑ ¹æ·ù!! ¸¶Àü³¬½Ã°ø¿ø 2023-10-16 71
    411 ºØ¾î»§ÀÇ °èÀý ¸¶Àü³¬½Ã°ø¿ø 2023-10-13 49
    410 °¡À»¿¡µµ º¯ÇÔ¾øÀÌ ¸¶Àü³¬½Ã°ø¿ø 2023-10-11 93
    409 Çѱ۳¯ÀÇ Á¶È² ¸¶Àü³¬½Ã°ø¿ø 2023-10-09 41
    408 °¡À» Á¶È² ¼Ò½Ä ¸¶Àü³¬½Ã°ø¿ø 2023-10-06 51
    407 ÀÏ»óÀ¸·Î µ¹¾Æ¿Â ù ³¯! ¸¶Àü³¬½Ã°ø¿ø 2023-10-04 57
    406 ¿À´Ãµµ ¹æ·ùÇÕ´Ï´Ù. ¸¶Àü³¬½Ã°ø¿ø 2023-10-02 49
    405 ÇູÇÑ ÇѰ¡À§ º¸³»½Ã±æ ¹Ù¶ø´Ï´Ù. ¸¶Àü³¬½Ã°ø¿ø 2023-09-27 75
    404 Ãß¼® ¿¬ÈÞ ¹æ°¥·Î ¿¹¾à ¹Þ½À´Ï´Ù. ¸¶Àü³¬½Ã°ø¿ø 2023-09-25 57
    403 Ãߺп¡µµ º¯ÇÔ¾øÀÌ!! ¸¶Àü³¬½Ã°ø¿ø 2023-09-22 61
    402 º¯ÇÔ¾ø´Â Á¶È²¼Ò½Ä ¸¶Àü³¬½Ã°ø¿ø 2023-09-20 52
    401 ¹¬Á÷ÇÑ Âî¿Ã¸² ¸¶Àü³¬½Ã°ø¿ø 2023-09-18 57
    400 [¸¶Àü³¬½ÃÅÍ] °¡À» ³¯¾¾¿¡µµ.. ¸¶Àü³¬½Ã°ø¿ø 2023-09-15 72
    399 [¸¶Àü³¬½ÃÅÍ] ºñ°¡ ¿Íµµ! ¸¶Àü³¬½Ã°ø¿ø 2023-09-13 77
    398 ²ô¶±¾ø´Â Á¶È²¼Ò½Ä ¸¶Àü³¬½Ã°ø¿ø 2023-09-11 73
    397 °¡À» Çϴðú ¿©¸§ ³¯¾¾¿¡µµ ¸¶Àü³¬½Ã°ø¿ø 2023-09-08 42
    396 ²ÙÁØÇÑ È£Á¶È²À» À̾´Ï´Ù. ¸¶Àü³¬½Ã°ø¿ø 2023-09-06 50
    395 [¸¶Àü³¬½ÃÅÍ] 9¿ù ÁÖ¸» ù Á¶È²¼Ò½Äµµ È£Á¶È²!! ¸¶Àü³¬½Ã°ø¿ø 2023-09-04 61
    394 [¸¶Àü³¬½ÃÅÍ] 9¿ù ½ºÅ¸Æ® ÁÁ½À´Ï´Ù. ¸¶Àü³¬½Ã°ø¿ø 2023-09-01 60
    393 [¸¶Àü³¬½ÃÅÍ] ³¯¾¾¿Í »ó°ü¾ø´Â È£Á¶È² ¸¶Àü³¬½Ã°ø¿ø 2023-08-30 88
    392 8¿ù ¸¶Áö¸· ÁÖ¸»µµ ¿ª½Ã³ª!! ¸¶Àü³¬½Ã°ø¿ø 2023-08-28 50

  • ·Î±×ÀλóÅÂÀ¯Áö

    ȸ¿ø°¡ÀÔ   ID/PWã±â
    • ·Î±×Àξȳ»
    • ºñ¹Ð¹øÈ£ ºÐ½Ç ȸ¿øÀº ºñ¹Ð¹øÈ£ ã±â¸¦ Çϰųª °í°´¼¾ÅÍ·Î
      ÀüÈ­ ÁÖ¼¼¿ä

    ÃÖ½ÅÀÔ°í»óǰ

     
     
    •  

°í°´¼¾ÅÍ

02-2203-1733

¿¹±ÝÁÖ : (ÁÖ)ÀÏÇÐ
±¹¹ÎÀºÇà
475801-01-252391
³óÇù
351-1092-8277-73