•   
    • > Á¶È², Á¶Çà±â > Á¶È²Á¤º¸

    Á¶È²Á¤º¸

    Á¶È²Á¤º¸ º¸±â
    ¹ã¿¡ ÀÌ¾î ³·±îÁö µ¹¾Æ¿Â Á¶È²
    Á¶È²Á¤º¸ º¸±â
    ÀÛ¼ºÀÚ : ¸¶Àü³¬½Ã°ø¿ø µî·ÏÀÏ : 2023.07.17

     

     

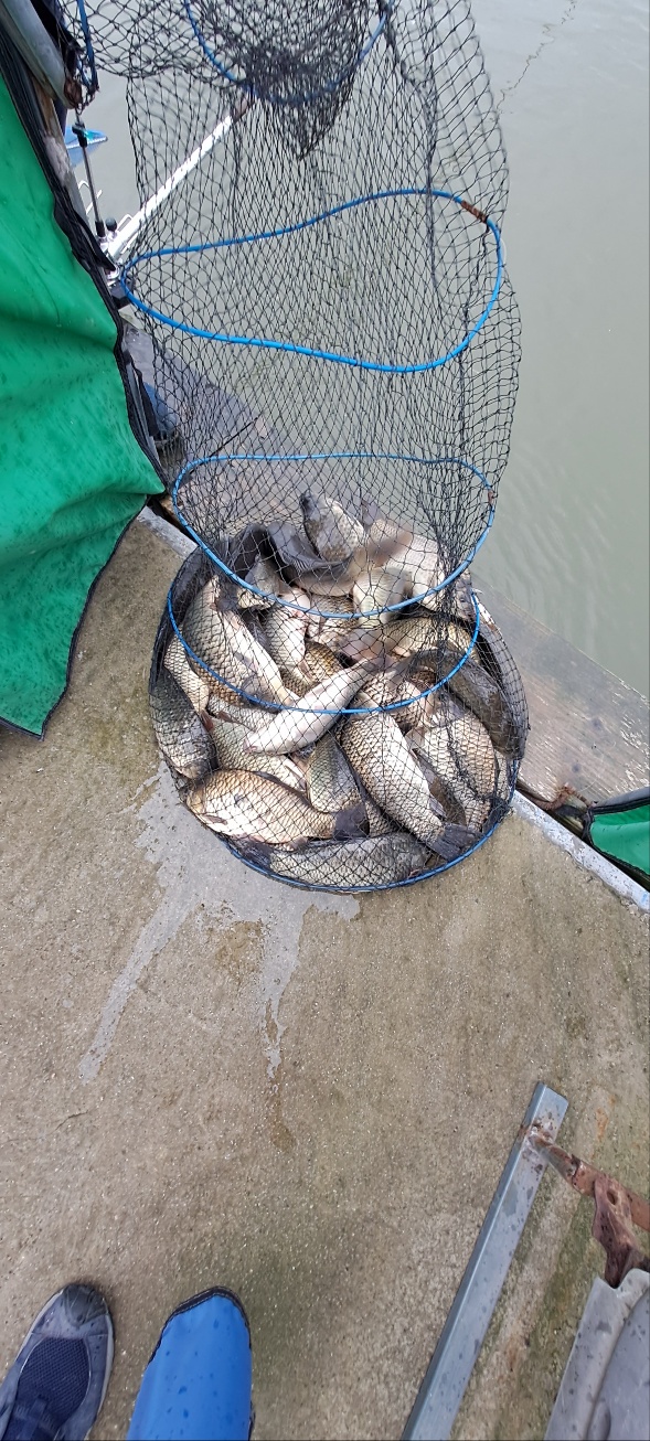
    ¾È³çÇϼ¼¿ä. ¸¶ÀüÁö±âÀÔ´Ï´Ù.

    ºñ·Î ÀÎÇØ ÁÖÃã°Å·Á ¹ãÁ¶È²¸¸ ÁÁ¾Ò´Ù¸é,

    ÀÏ¿äÀÏ ¿ÀÈĺÎÅÍ ³·³¬½Ãµµ Á¡Â÷ Ç®¸®¸é¼­

    ¹ã,³· »ó°ü¾øÀÌ ¼Õ ¸ÀÀÌ ÁÁ¾ÆÁ³½À´Ï´Ù.

    À̹øÁÖ´Â Áö³­ÁÖ¿Í´Â ´Þ¸® ºñ¼Ò½ÄÀÌ ¾ø´Â ³¯µµ ÀÖÁö¸¸

    Ç×»ó ºñ°¡ ¿Ã ¼ö ÀÖ´Ù´Â »ý°¢¿¡ ¿ì»ê ì±â¼Å¼­

    °Ç°­ÇÑ ÇÑ ÁÖ º¸³»½Ã±æ ¹Ù¶ø´Ï´Ù.

     

     

     

    ¹°ÀÌ ¸¸¼öÀÔ´Ï´Ù!!

     

     

    ÁÖ4ȸ È­,¸ñ,±Ý,Åä¿äÀÏ ºØ¾î ´ë·® ¹æ·ùÇÕ´Ï´Ù.!!

     

     


     

    È­Àå½Ç ½ÅÃà!!(ºñµ¥ ¼³Ä¡ ¿Ï·á!!)

    (¿¡¾îÄÁ ¼³Ä¡ ¿Ï·á!!)

     

     

     

    ÁÖÂ÷Àå È®Àå!! Çß½À´Ï´Ù. 

     

     

     

     

    KakaoTalk_20230717_104614263.jpg

     

     

    KakaoTalk_20230717_104614263_01.jpg

     

     

    KakaoTalk_20230717_104614263_02.jpg

     

     

    KakaoTalk_20230717_104614263_03.jpg

     

     

    KakaoTalk_20230717_104614263_04.jpg

     

     

    KakaoTalk_20230717_104614263_05.jpg

     

     

    KakaoTalk_20230717_104614263_06.jpg

     

     

    KakaoTalk_20230717_104614263_07.jpg

     

     

    KakaoTalk_20230717_104614263_08.jpg

     

     

    KakaoTalk_20230717_104614263_09.jpg

     

     

    KakaoTalk_20230717_104614263_10.jpg

     

     

    KakaoTalk_20230717_104614263_11.jpg

     

     

    KakaoTalk_20230717_104614263_12.jpg

     

     

    KakaoTalk_20230717_104614263_13.jpg

     

     

    KakaoTalk_20230717_104614263_14.jpg

     

     

    KakaoTalk_20230717_104614263_15.jpg

     

     

    KakaoTalk_20230717_104614263_16.jpg

     

     

    KakaoTalk_20230717_104614263_17.jpg

     

     

    KakaoTalk_20230717_104614263_18.jpg

     

     

    KakaoTalk_20230717_104614263_19.jpg

     

     

    KakaoTalk_20230717_104614263_20.jpg

     

     

    KakaoTalk_20230717_104647482.jpg

     

     

    KakaoTalk_20230717_104647482_01.jpg

     

     

    KakaoTalk_20230717_104647482_02.jpg

     

     

    KakaoTalk_20230717_104647482_03.jpg

     

     

    KakaoTalk_20230717_104647482_04.jpg

     

     

    KakaoTalk_20230717_104647482_05.jpg

     

     

    KakaoTalk_20230717_104647482_06.jpg

     

     

    KakaoTalk_20230717_104647482_07.jpg

     

     

    KakaoTalk_20230717_104647482_08.jpg

     

     

    KakaoTalk_20230717_104647482_09.jpg

     

     

    KakaoTalk_20230717_104647482_10.jpg

     

    KakaoTalk_20230717_104647482_11.jpg

     

     

    KakaoTalk_20230717_104647482_12.jpg

    Åä¿äÀÏ ¹æ·ù »çÁøÀÔ´Ï´Ù.

     

    KakaoTalk_20230717_104647482_13.jpg

     

     

    KakaoTalk_20230717_104647482_14.jpg

     

     

    KakaoTalk_20230717_104647482_15.jpg

     

     

    KakaoTalk_20230717_104647482_16.jpg

     

     

    KakaoTalk_20230717_104647482_17.jpg

     

     

    KakaoTalk_20230717_104725439.jpg

     

     

    KakaoTalk_20230717_104740272.jpg

     

     

    KakaoTalk_20230717_104805699.jpg

     

     

    KakaoTalk_20230717_104819453.jpg

     

     

    KakaoTalk_20230717_104841268.jpg

     

     

    KakaoTalk_20230717_104901662.jpg

     

     

    KakaoTalk_20230717_104943472.jpg

     

    KakaoTalk_20230717_093301619.jpg

     

     

    KakaoTalk_20230717_093301619_01.jpg

     

     

    KakaoTalk_20230717_093301619_02.jpg

     

     

    KakaoTalk_20230717_103530977.jpg

     

     

    KakaoTalk_20230717_103530977_01.jpg

     

     

     

     Ä¸Ã³.JPG

     

    01.JPG

     

     

    02.JPG

     

     

    03.JPG

     

     2ÀÎ ¹æ°¥·Î¿¡µµ Ƽºñ ¼³Ä¡ µÇ¾îÀÖ½À´Ï´Ù.

    °ð »çÁø ¾÷µ¥ÀÌÆ® Çϵµ·Ï ÇϰڽÀ´Ï´Ù.

     

     

    04.JPG

     

     

    05.JPG

     

     

     

    ĸó.PNG

     

     


     

    ¸ñ·Ï



      [¸¶Àü³¬½Ã°ø¿ø´ÔÀÇ ´Ù¸¥±Û]   + Àüü : 660    ÆäÀÌÁö : /27
    Á¶È²Á¤º¸
    ¹øÈ£ Á¦¸ñ ÀÛ¼ºÀÚ ³¯Â¥ Á¶È¸
    410 °¡À»¿¡µµ º¯ÇÔ¾øÀÌ ¸¶Àü³¬½Ã°ø¿ø 2023-10-11 88
    409 Çѱ۳¯ÀÇ Á¶È² ¸¶Àü³¬½Ã°ø¿ø 2023-10-09 39
    408 °¡À» Á¶È² ¼Ò½Ä ¸¶Àü³¬½Ã°ø¿ø 2023-10-06 50
    407 ÀÏ»óÀ¸·Î µ¹¾Æ¿Â ù ³¯! ¸¶Àü³¬½Ã°ø¿ø 2023-10-04 56
    406 ¿À´Ãµµ ¹æ·ùÇÕ´Ï´Ù. ¸¶Àü³¬½Ã°ø¿ø 2023-10-02 49
    405 ÇູÇÑ ÇѰ¡À§ º¸³»½Ã±æ ¹Ù¶ø´Ï´Ù. ¸¶Àü³¬½Ã°ø¿ø 2023-09-27 74
    404 Ãß¼® ¿¬ÈÞ ¹æ°¥·Î ¿¹¾à ¹Þ½À´Ï´Ù. ¸¶Àü³¬½Ã°ø¿ø 2023-09-25 56
    403 Ãߺп¡µµ º¯ÇÔ¾øÀÌ!! ¸¶Àü³¬½Ã°ø¿ø 2023-09-22 60
    402 º¯ÇÔ¾ø´Â Á¶È²¼Ò½Ä ¸¶Àü³¬½Ã°ø¿ø 2023-09-20 51
    401 ¹¬Á÷ÇÑ Âî¿Ã¸² ¸¶Àü³¬½Ã°ø¿ø 2023-09-18 54
    400 [¸¶Àü³¬½ÃÅÍ] °¡À» ³¯¾¾¿¡µµ.. ¸¶Àü³¬½Ã°ø¿ø 2023-09-15 71
    399 [¸¶Àü³¬½ÃÅÍ] ºñ°¡ ¿Íµµ! ¸¶Àü³¬½Ã°ø¿ø 2023-09-13 75
    398 ²ô¶±¾ø´Â Á¶È²¼Ò½Ä ¸¶Àü³¬½Ã°ø¿ø 2023-09-11 72
    397 °¡À» Çϴðú ¿©¸§ ³¯¾¾¿¡µµ ¸¶Àü³¬½Ã°ø¿ø 2023-09-08 40
    396 ²ÙÁØÇÑ È£Á¶È²À» À̾´Ï´Ù. ¸¶Àü³¬½Ã°ø¿ø 2023-09-06 47
    395 [¸¶Àü³¬½ÃÅÍ] 9¿ù ÁÖ¸» ù Á¶È²¼Ò½Äµµ È£Á¶È²!! ¸¶Àü³¬½Ã°ø¿ø 2023-09-04 58
    394 [¸¶Àü³¬½ÃÅÍ] 9¿ù ½ºÅ¸Æ® ÁÁ½À´Ï´Ù. ¸¶Àü³¬½Ã°ø¿ø 2023-09-01 57
    393 [¸¶Àü³¬½ÃÅÍ] ³¯¾¾¿Í »ó°ü¾ø´Â È£Á¶È² ¸¶Àü³¬½Ã°ø¿ø 2023-08-30 85
    392 8¿ù ¸¶Áö¸· ÁÖ¸»µµ ¿ª½Ã³ª!! ¸¶Àü³¬½Ã°ø¿ø 2023-08-28 50
    391 ³¯¾¾¿Í ¹«°üÇÑ È£Á¶È²!! ¸¶Àü³¬½Ã°ø¿ø 2023-08-25 52
    390 ó¼­¿¡µµ ²ÙÁØÇÑ Á¶È² ¸¶Àü³¬½Ã°ø¿ø 2023-08-23 51
    389 ÁÖ¸»¿¡µµ ²ÙÁØÇÑ È£Á¶È² ¸¶Àü³¬½Ã°ø¿ø 2023-08-21 51
    388 ´õ¿î³¯¾¾¿¡µµ ²ÙÁØÇÑ È£Á¶È² ¸¶Àü³¬½Ã°ø¿ø 2023-08-18 52
    387 µ¹¾Æ¿Â Á¶È²! ¸¶Àü³¬½Ã°ø¿ø 2023-08-16 49
    386 ´õÀ§¿Í ÇÔ²²ÇÑ 8¿ù Áß¼ø Á¶È² ¸¶Àü³¬½Ã°ø¿ø 2023-08-14 48

  • ·Î±×ÀλóÅÂÀ¯Áö

    ȸ¿ø°¡ÀÔ   ID/PWã±â
    • ·Î±×Àξȳ»
    • ºñ¹Ð¹øÈ£ ºÐ½Ç ȸ¿øÀº ºñ¹Ð¹øÈ£ ã±â¸¦ Çϰųª °í°´¼¾ÅÍ·Î
      ÀüÈ­ ÁÖ¼¼¿ä

    ÃÖ½ÅÀÔ°í»óǰ

     
     
    •  

°í°´¼¾ÅÍ

02-2203-1733

¿¹±ÝÁÖ : (ÁÖ)ÀÏÇÐ
±¹¹ÎÀºÇà
475801-01-252391
³óÇù
351-1092-8277-73